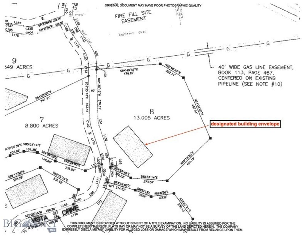
Remarkable building parcel with wildness AND incredible access for a variety of Montana dream home ideas. This 13 +/- acre parcel boasts views, inspiring topography and paved access to the lot from Bozeman. An easy 15-minute drive from Bozeman will bring you to this hillside paradise. In the summer the wildflowers are crazy beautiful, and the views stunning day after day. 330+ acres of community open space with trails literally at your back door making this property incomparable for lovers of the outdoors. There is a defined building envelope that maximizes views while blending into the natural environment. Power is to the lot, well and septic are Buyer’s responsibility. Bring your dogs, but leave the horses — not allowed in this pristine environment.
Date Added: 3/18/24 at 5:00 am
Last Update: 3/20/24 at 2:01 pm
Location
- Road/AccessPaved
- HOA AmenitiesRoad Maintenance, 1800.0, Annually
- Originating MLSSWMT
- CountyGallatin
Lot
- TopographySloping
- ZoningJACKSON CREEK HILLS PH 1 & 2, S11, T02 S, R07 E, LOT 8, ACRES 13.005, PLAT J-403 PLUS COMMON OPEN SPACE, RGI52233
- ViewFarmland, Meadow, Mountain(s), View
Utilities
- UtilitiesElectricity Available
Financial
- SourceSWMT
- Buyers Agent Compensation2.50
Schools
- DistrictBozeman Elementary School District


